Ο ορισμός των Evo δεν είναι άλλος από το VI. Το πιο σκληροπυρηνικό όλων, που συν τοις άλλοις αποτέλεσε τη βάση για το αμίμητο Tommi Makinen Edition. Στα σχεδόν 3 χρόνια που έμεινε στην παραγωγή (Γενάρης 1999-Αύγουστος 2001) κυκλοφόρησαν αρκετά, σε πολλές εκδόσεις και ακόμα περισσότερα σε βελτιωμένη μορφή. Συνεπώς, για να δικαιούται κάποιο τον χαρακτηρισμό «εκλεκτό» θα πρέπει πράγματι να είναι ξεχωριστό.
Το λευκό των φωτογραφιών αποτελεί ακριβώς αυτό, άσχετα που τα χιλιόμετρά του σε προδιαθέτουν διαφορετικά. Εδώ μπορεί να μην έχουμε ένα Evo που καθόταν σε γκαράζ, καταγράφοντας τριψήφιο αριθμό χλμ. στο οδόμετρο, αλλά έχουμε ένα από τα σπανιότερα που κατασκευάστηκαν ποτέ. Το εν λόγω 6άρι πρόκειται για ένα από τα μόλις 7 πρωτότυπα δοκιμών που χρησιμοποίησε η Mitsubishi, για τα οποία μάλιστα χρειάστηκε ειδική άδεια από τις ιαπωνικές αρχές! Τα αυτοκίνητα δεν ταξινομήθηκαν ποτέ, με τους Ιάπωνες να τα χρησιμοποιούν κατόπιν ειδικής παραχώρησης από τους εκεί νομοθέτες. Δυο εβδομάδες δόθηκαν όλες κι όλες για δοκιμές, κι αυτές με την προϋπόθεση πως μετά το πέρας τους τα αυτοκίνητα δεν θα πωλούνταν στην εγχώρια αγορά.
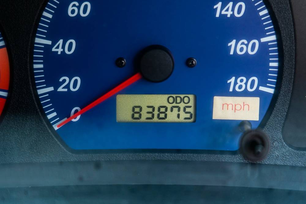
Από τα 7, λοιπόν, τα 4 επέστρεψαν στη Ralliart και μετατράπηκαν σε αγωνιστικά, το 1 κλάπηκε και τα εναπομείναντα 2 πουλήθηκαν σε φίλους της Ralliart στο εξωτερικό, πάντα με την προϋπόθεση να μην ξανακυλήσουν τροχούς στην Ιαπωνία. Αυτό που καμαρώνουμε αποκτήθηκε από τη Mitsubishi Αγγλίας και μεταπωλήθηκε αμέσως, πίσω στο 1999. Τότε είχε μόνο 2.200 χλμ. στο κοντέρ. Μια 23ετία αργότερα, βρίσκεται κοντά στις 84.000. Συγκεκριμένα, 83.875 χλμ. (μη μπερδευτείτε από το πρόχειρο «mph», σε χλμ. μετρούν οι Ιάπωνες). Η χρήση αποτυπώνεται στη φθορά του εσωτερικού, στα καθίσματα κυρίως. Μηχανικά, η κυλινδροκεφαλή άλλαξε το 2014 και το 2018 την ακολούθησε η αντλία των διαφορικών, ενώ παράλληλα τοποθετήθηκαν τα φρένα της Brembo και φρεσκαρίστηκαν οι ζάντες της O.Z. Racing.
Σύμφωνα με την αγγελία δεν λείπουν οι σκουριές, που εμφανίζονται στις ράγες του πίσω υποπλαισίου, κάτω από το δάπεδο του χώρου αποσκευών και στο εμπρός μέρος. Τα ανταλλακτικά έχουν ήδη παραγγελθεί και παραληφθεί, αναμένοντας τον νέο ιδιοκτήτη για τοποθέτηση. Η δημοπρασία ξεκινά σε λίγες μέρες και οι εκτιμήσεις κάνουν λόγο για τιμή στις 15.000-20.000 λίρες (17.500-23.300 ευρώ).





































































